INFINA LOGO
Entspannt zur Immobilie Persönlich & kompetent beraten Finanzierbarkeit sofort überprüfbar
229.000 €
Kostenlos &
unverbindlich.
Kontakt aufnehmen

Wohnung (auch als Praxis nutzbar) - mit Garten und Terrasse

Obj. Nr.: 59988

ca. 90,83 m² Wohnfläche 3 Zimmer
Partner von Infina raumhochzwei Immobilien Immobilienmakler 
Partner von Infina raumhochzwei Immobilien Immobilienmakler
229.000 € Kaufpreis der Immobilie Kreditvergleich von über 120 Banken mit Infina.
Immobilie finanzieren
Mehr Informationen zur Immobilie: Detaillierte Einblicke in dieses Objekt.
Zurück zur Übersicht

Objektstandort

4693 Desselbrunn, Vöcklabruck, Oberösterreich Adresse anfragen

Directions Icon Fahrtzeit berechnen
Preisinformationen
Kaufpreis 229.000 €
Betriebskosten inkl. USt. 39,00 €
Heizkosten inkl. USt. 110,00 €
2 Stellplatz Freiplatz
Grundbucheintragung: 1.1 %
Grunderwerbsteuer: 3.5 %
Was kann ich mir leisten?
Jetzt berechnen
Maklerprovision:
3,00 % des Kaufpreises zzgl. 20 % USt.

Objektinformationen

Objektart: Büro / Praxis
Nutzungsart: Gewerbe
Bauart: Altbau
Zustand: gepflegt
Baujahr: 1979
Letzte Sanierung: 2020
Erschließung: Vollerschlossen
barrierefrei: Ja

Rauminformationen & Flächen

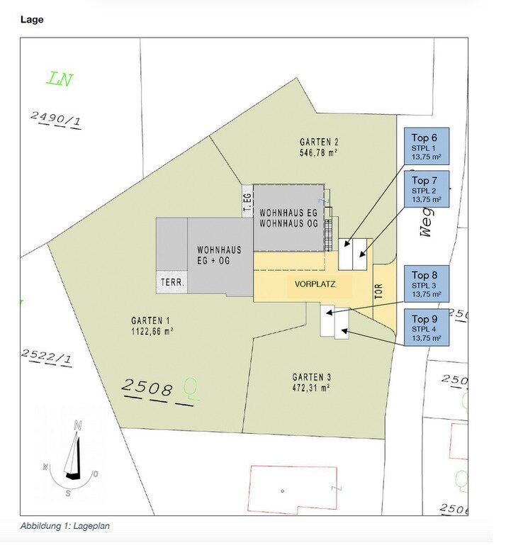
Grundstücksfläche: ca. 546,00 m²
Wohnfläche: ca. 90,83 m²
Gartenfläche: ca. 546,00 m²
Terrassenfläche: ca. 11,15 m²
Stellplatzfläche: ca. 27,50 m²
Anzahl Terrassen: 1
Anzahl Stellplätze: 2
Anzahl Zimmer: 3
Anzahl WC: 1
Anzahl Bäder: 1

Ausstattung

Boden: Fertigparkett
Befeuerung: Gas
Heizungsart: Etagenheizung
Dachform: Flachdach
Bauweise: Massiv

Lage

Desselbrunn ist eine Gemeinde im Bezirk Vöcklabruck. In den nahegelegenen Zentren Schwanenstadt, Attnang-Puchheim und Vöcklabruck konzentrieren sich Infrastruktur, Einkaufszentren, und Bahnanschlüsse. Im Ort selbst gibt es einen Nahversorger. Im Ort befindet sich ein Kindergarten, und eine Volksschule. Medizinisch ist Desselbrunn in das regionale Versorgungsnetz eingebunden. Für fachärztliche Versorgung und Akutmedizin ist das Salzkammergut Klinikum Vöcklabruck der zentrale Krankenhausstandort in der Umgebung. Freizeit- und Erholungswert ergeben sich aus dem Salzkammergut-Umfeld: Ein sehr bekanntes Ausflugsziel in unmittelbarer Nähe ist der Traunfall, der an der Gemeindegrenze von Desselbrunn liegt. Darüber hinaus profitiert der Standort von der Nähe zu den großen Seen- und Bergregionen des Salzkammerguts, etwa zur Tourismusregion Attersee-Attergau sowie zur Region Traunsee-Almtal mit ihren ganzjährigen Outdoor-Angeboten.

Beschreibung *

Dieses schöne Objekt verfügt über rund 90,83 qm Nutzfläche und ist sowohl als Wohnung aber auch als Praxis- bzw. Büro mit drei getrennt nutzbaren Räumen (inkl. großzügiger Außenflächen). Der Grundriss ist gut konzipiert und eignet sich sowohl für Einzelunternehmer:innen als auch für kleine Teams oder eine Praxisgemeinschaft. Die Raumgrössen: Praxis 1 mit 29,07 qm, Praxis 2 mit 23,09 qm und Praxis 3 mit 14,57 qm. Ergänzt wird das Raumangebot durch ein WC sowie einen großzügigen Abstellraum, der je nach Nutzung als Lager, Archiv oder Materialraum genutzt werden kann. Zusätzlich finden Sie 2 Terrassen mit gesamt ca 26,00 qm. Die Räume sind grossteils barrierefrei.

Ein echtes Alleinstellungsmerkmal ist der große Eigengarten mit rund 547 qm. Damit entsteht ein außergewöhnlich großzügiger Freiraum, der nicht nur für die Wohnnutzung sondern auch im Praxis- oder Bürobetrieb einen spürbaren Mehrwert liefert - etwa als Pausenbereich im Grünen, als ruhige Wartezone oder als Ergänzung bei Tätigkeiten, die von Außenraum profitieren.

Zur Einheit gehören zwei Garagenstellplätze, damit ist komfortables Parken direkt am Objekt gesichert, was im Praxisbetrieb oder bei Kundenverkehr einen klaren Vorteil darstellt.

Das Objekt wird über ein Gas-Etagenheizung mit eigener Gastherme versorgt. 2020 wurden die Böden erneuert.

Diese Immobilie ist für Sie ideal, wenn Sie eine ruhige und gut nutzbare Wohnung im Erdgeschoss inkl. Freiflächen suchen oder Räume, in der Arbeiten und Kund:innenkontakt ohne Umwege möglich sind. Hleichzeitig bietet dieses Objekt durch Garten und Terrasse eine Qualität, die man in dieser Form bei Praxiseinheiten selten findet.

Energieausweis: in Ausarbeitung

Ideal für:

  • Ordination / Therapie / Coaching / Körperarbeit
  • Büro / Agentur / Homebase für Selbstständige
  • Studio / Praxisgemeinschaft (klein)
  • Kombination „Arbeiten im Grünen“  mit echter Außenqualität

Der Vermittler ist als Doppelmakler tätig.


*Der Vertrag kommt nicht mit der INFINA Credit Broker GmbH zustande. Das Objekt wird von einem externen Immobilienunternehmen angeboten. Allfällige aus dem Vertragsabschluss resultierende Rechte sind ausschließlich gegenüber dem anbietenden Immobilienunternehmen geltend zu machen. Wir weisen Sie darauf hin, dass die gemachten Angaben und Informationen lediglich unverbindliche Vorabinformationen sind und daher ohne Gewähr erfolgen. Der Vermittler ist als Doppelmakler tätig.

Heizung: Etagenheizung
Befeuerung: Gas
Dokumente & Videos Pläne Pläne
Partner von Infina raumhochzwei Immobilien Immobilienmakler
Verkehr:
Autobahnanschluss: 3340 m
Bahnhof: 3540 m
Bus: 80 m
Nahversorgung:
Bäckerei: 3690 m
Einkaufszentrum: 7860 m
Supermarkt: 2960 m
Sonstige:
Post: 3630 m
Geldautomat: 3790 m
Bank: 2720 m
Polizei: 3360 m
Gesundheit:
Klinik: 5680 m
Arzt: 1670 m
Krankenhaus: 10060 m
Apotheke: 3280 m
Kinder & Schulen:
Kindergarten: 2790 m
Höhere Schule: 9240 m
Schule: 3170 m

Jetzt Experten kontaktieren

Immobilie kaufen: Das passende Angebot finden

Der Kauf einer Immobilie ist eine wichtige Entscheidung – sei es für die Eigennutzung oder zur Vermietung. Mit unserem Portal unterstützen wir Sie dabei, die richtige Immobilie zu kaufen. Nutzen Sie unsere Suchmöglichkeiten, um gezielt eine Immobilie zu suchen, die Ihren Vorstellungen entspricht. Unsere Immobilienangebote decken eine breite Palette ab: vom Einfamilienhaus über die Eigentumswohnung bis hin zum Grundstück für Ihr Bauvorhaben. Mit uns können Sie sicher und unkompliziert Eigentum erwerben – ob für die private Nutzung oder als Investition als Immobilie. Erkunden Sie jetzt unsere Angebote und finden Sie die perfekte Lösung, die zu Ihren Wohn- oder Anlagezielen passt.

Fundiertes Wissen für Ihre Entscheidung, eine Immobilie zu kaufen

Bereiten Sie sich bestens vor: Infina stellt Ihnen kostenlos über 300 Ratgeber und Beiträge zu den Themen Immobilie, Finanzierung, Zinsen und Recht zur Verfügung. Nutzen Sie unser umfassendes Wissen, um richtige Entscheidungen zu treffen.

Bei jedem Kauf einer Immobilie oder eines Grundstücks ist es wichtig, die passende Finanzierung zu finden. Mit seiner eigenen Vertriebsorganisation ist Infina als Wohnbau-Finanz-Experte an über 100 Standorten in ganz Österreich vertreten und vermittelt Finanzierungen an über 120 Banken und Bausparkassen. Nutzen Sie unseren kostenlosen Kreditvergleich für den passenden Wohnkredit: 

Kreditvergleich

Kostenlos und unverbindlich

Immobilie mieten: Ihr neues Zuhause wartet

Die Entscheidung, eine Immobilie zu mieten, bietet Flexibilität und zahlreiche Möglichkeiten – ob eine Wohnung für den Alltag oder ein Haus für die Familie. Bei Infina können Sie gezielt sowohl eine Wohnung suchen als auch ein Haus suchen, das Ihren Bedürfnissen entspricht. Unsere Angebote erleichtern es Ihnen, eine Mietwohnung zu suchen und Ihre ideale Wohnung finden zu können. Entdecken Sie vielfältige Optionen, um die passende Immobilie zu finden und Ihre Wohnträume zu verwirklichen. Starten Sie noch heute Ihre Suche und profitieren Sie von einer großen Auswahl an Mietobjekten in Ihrer Wunschregion.

Hilfreiche Informationen zu Immobilie mieten

Starten Sie gut vorbereitet in Ihre Mietentscheidung: Infina stellt Ihnen vielseitige Ratgeber und Beiträge zu Themen wie Immobilie, Mietrecht, Finanzierung und Wohntrends zur Verfügung. Verschaffen Sie sich einen Überblick über alle relevanten Aspekte und gestalten Sie Ihren Weg ins neue Zuhause einfacher und sicherer.

Erfolgreich zur neuen Immobilie

Mit Infina haben Sie einen verlässlichen Partner an Ihrer Seite, der Sie von der ersten Beratung bis zum erfolgreichen Abschluss ganzheitlich unterstützt. Erfahren Sie hier, wie wir gemeinsam Ihren Immobilienerfolg gestalten.

Starten Sie jetzt Ihre Immobiliensuche

Nach zahlreichen Informationen rund um die Themen Immobilie kaufen und Immobilie mieten können Sie nun den nächsten Schritt machen. Starten Sie die Immobiliensuche, um Ihr neues Zuhause oder Ihre nächste Investition zu finden und entdecken Sie die passenden Angebote:

Das innovative Portal für Immobilien und Finanzierung 

Als Kunde von Infina profitieren Sie von unserer umfangreichen und unabhängigen Expertise als Teil einer wachsenden, unabhängigen Immobilien- und Finanzierungsnetzwerkgruppe. Bereits 50.000 Kunden hat Infina erfolgreich bei Ihrem Vorhaben begleitet. Infina bietet Ihnen eine umfassende Beratung in allen Bereichen rund um Ihre Immobilienvorhaben:

Die passende Finanzierung für Ihre Immobilie

Mit Infina erhalten Sie nicht nur eine unabhängige Beratung, sondern auch die passende Finanzierungslösung für Ihre Immobilie. Aus den Angeboten von über 120 Banken und Bausparkassen vermitteln wir Ihnen das, was perfekt zu Ihren Bedürfnissen passt. Wir begleiten Sie professionell und verlässlich – von der ersten Beratung bis zum erfolgreichen Abschluss.

Kreditvergleich

Kostenlos und unverbindlich

Wir holen das Beste für Sie heraus

Verkaufen Sie Ihre Immobilie mit uns & profitieren Sie von unserer Expertise. Wir bringen Ihre Immobilie optimal auf den Markt & erzielen den besten Preis. 

Kontaktieren Sie uns jetzt.

Jetzt Experten kontaktieren
Junge Frau im pinken Blazer hält ein Modellhaus in der linken Hand und zeigt mit der rechten Hand nach oben, als hätte sie eine Idee. Sie lächelt und blickt leicht nach oben – symbolisch für Inspiration oder Immobilienberatung.